2014 CHEVROLET SILVERADO 1500 1LT - 3GCPCREC9EG325875

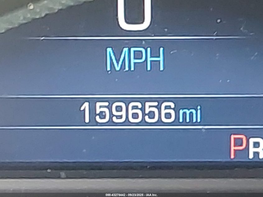
5.3L V-8 DI, VVT, 355HP Automatic with 159,656 miles on it, located in Dallas (TX)

$0*

*Current Bid *Not Final Price
Auction: Iaai
Make: CHEVROLET
Model: SILVERADO 1500
Year: CHEVROLET
VIN: 3GCPCREC9EG325875
Engine: 5.3L V-8 DI, VVT, 355HP
Fuel: Gasoline
Transmission: Automatic
Drive:
Doc Type: Run & Drive
Odometer: 159,656 mi
Highlights:
Seller:
Primary Damage: REAR
Secondary Damage: Hail
ERV: $0
Keys: Yes
Location: Dallas (TX)
sale_type:

Iaai is a leading global digital marketplace connecting vehicle buyers and sellers.

This 2014 CHEVROLET SILVERADO 1500 1LT is available for sale at Iaai auction. VIN number is 3GCPCREC9EG325875.
It has 159,656 miles on it. It is equipped with 5.3L V-8 DI, VVT, 355HP Gasoline Diesel engine and has .
The damage is announced as REAR, Hail. Estimated Retail Value is listed as $0.

You can review pictures of the car to determine its condition. It is also possible to order a detailed report on Iaai website.
Auction will be held on Dallas (TX), at .

These materials have been prepared for informational purposes only and do not constitute investment advice of any kind.

Hide this page from the website

Similar Vehicles

Browse through similar vehicles that has are present in our listings.

Low Miles
2015 CHEVROLET SILVERADO 1500 2LT
1 mi
Current Bid: $0
2013 CHEVROLET SILVERADO 1500 LT
151,806 mi
Current Bid: $0
2014 CHEVROLET SILVERADO 1500 K1500 LTZ
mi
Current Bid: $0
2014 CHEVROLET SILVERADO 1500 K1500 LT
mi
Current Bid: $0
2014 CHEVROLET SILVERADO 1500 1LT
130,360 mi
Current Bid: $0
scroll up